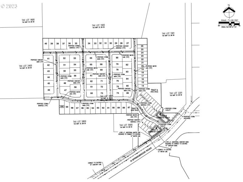
This is a rare and extraordinary opportunity to own a premium property located directly next door to one of the most luxurious destinations in Oregon's wine country. Nestled in the heart of Yamhill County, this expansive 18.76-acre parcel within the urban growth boundary offers unbelievable development potential. Preliminary engineering plans show the ability to build 100 homes, many on large lots. The property is secluded, yet located within minutes to Highway 99, shopping & restaurants. Only a 30 minute drive to Intel, Nike & other major industry. Water & sewer located at the base of the property. Existing home & out buildings, value is in the land. Buyer to confirm all listing details & conduct all due diligence for development potential. Please do not visit the property without an appointment.
Hwy 99W to N Springbrook Rd
Dwelling Type: Land
Subdivision: N/A
Year Built: N/A, County: US
Hwy 99W to N Springbrook Rd
Listing is courtesy of Premiere Property Group, LLC